Einzigartiges Eckgrundstück mit Südausrichtung in Reyes y Reinas, Sotogrande Costa, Cádiz

2.849.000 €
Ref: TS-03615P
Grundstücke: 2.849 m²

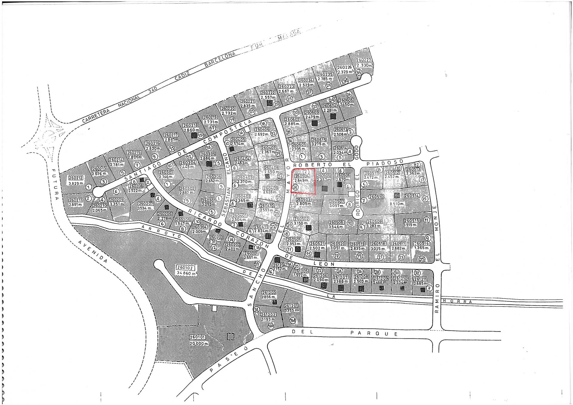
Dieses Eckgrundstück verfügt über eine Fläche von 2.849 m² und genießt eine privilegierte Lage in einer der besten Straßen der Urbanisation, konkret in der Straße Roberto el Piadoso, die sich durch ihre Konsolidierung und hohe Sicherheit auszeichnet.

Das Grundstück befindet sich innerhalb eines Golfresorts und gehört zu einer abgeschlossenen Wohnanlage mit kontrolliertem Zugang, 24-Stunden-Sicherheitsdienst und Überwachungskameras, welche die gewünschte Ruhe und Privatsphäre gewährleisten. Die Nähe zum Strand, zu Geschäften und zum Yachthafen erhöht die Attraktivität der Gegend und vereint die Bequemlichkeit aller nahegelegenen Dienstleistungen mit der Exklusivität, die Sotogrande Costa auszeichnet.

Mit einer Bebauungsdichte von 40 % und vorgesehen für die Nutzung als Einfamilienvilla, erlaubt dieses Grundstück die Entwicklung eines exklusiven Wohnprojekts, das bereits ab dem ersten Obergeschoss teilweise Meerblick bietet. All dies in einem gefestigten Umfeld, das von luxuriösen Anwesen und gepflegten Gärten geprägt ist.

Der veröffentlichte Preis unterliegt der aktuellen Mehrwertsteuer von 21 %. Dies ist eine einzigartige Gelegenheit für diejenigen, die ein individuelles und exklusives Zuhause an einer der besten Lagen von Sotogrande schaffen möchten.

Zusätzliche merkmale
  • Annehmlichkeiten nahebei
  • Nähe Einkaufsmöglichkeiten
  • Hafennähe
  • Sicherheitseingang
  • Nähe Schulen
  • Überwachungskameras
  • Geschlossene Wohnanlage
  • Innerhalb Golfresort
  • 24Std Sicherheitsdienst
  • Blick auf Garten
  • Meer/Strandnähe
  • Panoramablick
Grundrisse

En cumplimiento del Reglamento General de Protección de Datos (UE) 2016/679 delParlamento Europeo y del Consejo de 27 de abril de 2016 y la ley orgánica 3/2018 de 5 dediciembre de Protección de Datos Personales y de Garantía de los Derechos Digitales leinformamos que los datos por Vd. proporcionados serán objeto de tratamiento por parte deIGNACIO MIER REAL ESTATE S.L. con CIF B11590122, con domicilio en CENTROCOMERCIAL MAR Y SOL, 28 SOTOGRANDE con la finalidad de prestarle el servicio solicitado y/o contratado, realizar la facturación del mismo.La base legal para el tratamiento de sus datos es la ejecución del servicio por ustedcontratado y/o solicitado. La oferta prospectiva de productos y servicios está basada en elconsentimiento que se le solicita, sin que en ningún caso la retirada de este consentimientocondicione la ejecución del contrato. Los datos proporcionados se conservarán mientras se mantenga la relación comercial odurante los años necesarios para cumplir con las obligaciones legales. Los datos no secederán a terceros salvo en los casos en que exista una obligación legal.Usted tiene derecho a obtener confirmación sobre si IGNACIO MIER REAL ESTATE S.L.estamos tratando sus datos personales y por tanto tiene derecho a ejercer sus derechos deacceso, rectificación, limitación del tratamiento, portabilidad, oposición al tratamiento ysupresión de sus datos así como el derecho a presentar una reclamación ante la Autoridadde Control mediante escrito dirigido a la dirección postal arriba mencionada o electrónica INFO@TESEOESTATE.COM, adjuntando copia del DNI en ambos casos.

Map
Ähnliche Suchanfragen