Grundstück mit atemberaubendem Panoramablick in der Zone G, Sotogrande Alto

695.000 €
Ref: TS-02839P
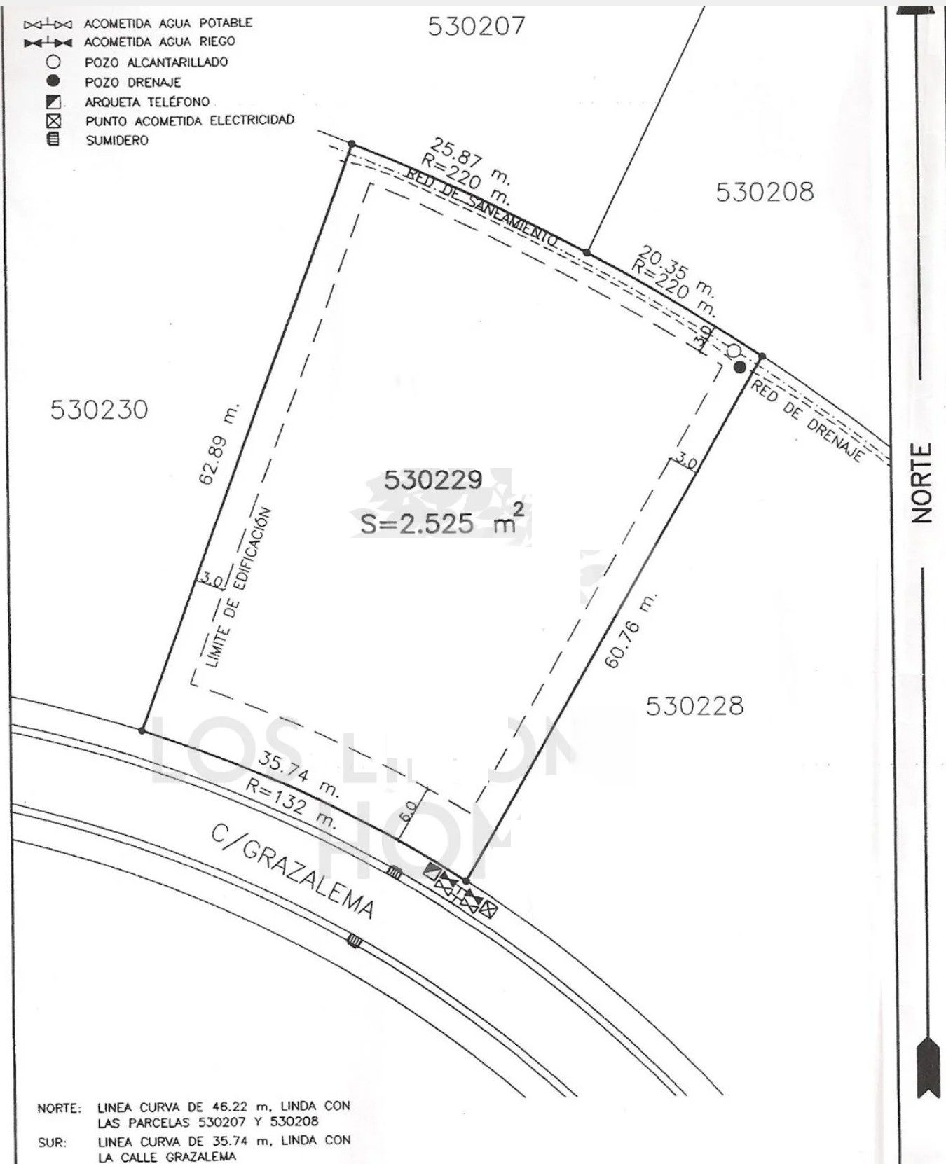
Grundstücke: 2.525 m²

In der renommierten Zone G von Sotogrande Alto, in Sotogrande, Cádiz, präsentiert sich dieses außergewöhnliche Grundstück als eine einmalige Gelegenheit für all jene, die den Bau ihres Traumhauses in einer exklusiven Umgebung anstreben. Das Anwesen beeindruckt mit einer großzügigen Fläche von 2.525 m² und zeichnet sich sowohl durch seine Größe als auch durch die herausragende Qualität seiner Ausblicke aus – mit unvergleichlichen Panoramablicken auf das Meer und die umliegenden Berge.

Das Grundstück ist nach Osten ausgerichtet, was ganztägig für Helligkeit und angenehme Temperaturen sorgt und es ermöglicht, das natürliche Licht und den Sonnenaufgang über dem Mittelmeer optimal zu genießen. Diese privilegierte Lage bietet eine ruhige und private Atmosphäre, eingebettet in die Natur, aber gleichzeitig verbunden mit sämtlichen Annehmlichkeiten und Dienstleistungen von Sotogrande.

Eines der Hauptmerkmale dieses Grundstücks ist der beeindruckende Meerblick, der sich mit weitreichenden Ausblicken auf die natürliche Umgebung und die Berge kombiniert. Diese Kombination macht das Grundstück zum idealen Ort für den Bau eines modernen Wohnsitzes oder eines Familienrefugiums, in dem unvergessliche Momente in unvergleichlicher Atmosphäre erlebt werden können.

Der Preis des Grundstücks unterliegt zusätzlich einer Mehrwertsteuer von 21 %. Eine einzigartige Möglichkeit für diejenigen, die Exklusivität, Weitläufigkeit und außergewöhnliche Ausblicke an einem der begehrtesten Orte der Costa de la Luz schätzen.

Zusätzliche merkmale
  • Meerblick
  • Panoramablick
Grundrisse

En cumplimiento del Reglamento General de Protección de Datos (UE) 2016/679 delParlamento Europeo y del Consejo de 27 de abril de 2016 y la ley orgánica 3/2018 de 5 dediciembre de Protección de Datos Personales y de Garantía de los Derechos Digitales leinformamos que los datos por Vd. proporcionados serán objeto de tratamiento por parte deIGNACIO MIER REAL ESTATE S.L. con CIF B11590122, con domicilio en CENTROCOMERCIAL MAR Y SOL, 28 SOTOGRANDE con la finalidad de prestarle el servicio solicitado y/o contratado, realizar la facturación del mismo.La base legal para el tratamiento de sus datos es la ejecución del servicio por ustedcontratado y/o solicitado. La oferta prospectiva de productos y servicios está basada en elconsentimiento que se le solicita, sin que en ningún caso la retirada de este consentimientocondicione la ejecución del contrato. Los datos proporcionados se conservarán mientras se mantenga la relación comercial odurante los años necesarios para cumplir con las obligaciones legales. Los datos no secederán a terceros salvo en los casos en que exista una obligación legal.Usted tiene derecho a obtener confirmación sobre si IGNACIO MIER REAL ESTATE S.L.estamos tratando sus datos personales y por tanto tiene derecho a ejercer sus derechos deacceso, rectificación, limitación del tratamiento, portabilidad, oposición al tratamiento ysupresión de sus datos así como el derecho a presentar una reclamación ante la Autoridadde Control mediante escrito dirigido a la dirección postal arriba mencionada o electrónica INFO@TESEOESTATE.COM, adjuntando copia del DNI en ambos casos.

Map
Ähnliche eigenschaften
Ähnliche Suchanfragen